Interessante terreno edificabile

Dati di base

Tipologia dell’oggettoTerreno / Abitativo
LocalitàRasun Anterselva
Via, N˚Via Anterselva di Sotto 17
Prezzo d’acquistoPrezzo a richiesta
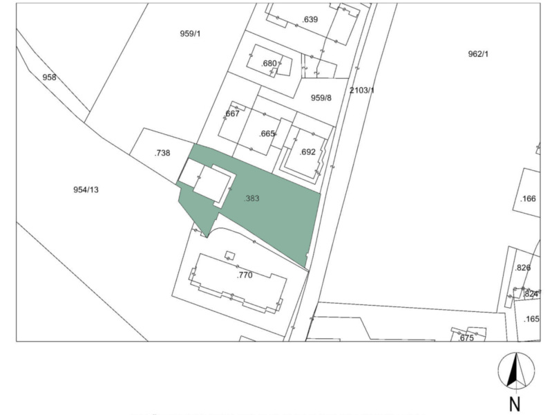
Terreno m²1053.0
IDIW106570

Azioni

Carica / stampa PDF remove favorite Ricorda
Cliccare su un’immagine per far partire il diashow

Dettagli

Prezzo d’acquistoPrezzo a richiesta
Terreno m²1053.0

Descrizione

In vendita un terreno edificabile in posizione eccellente ad Anterselva di Sotto. La superficie del terreno è di 1.053 metri quadrati. La cubatura edificabile fuori terra ammonta a 2.106 metri cubi, in base alle attuali direttive in materia di pianificazione territoriale. Inoltre, esiste una cubatura esistente di 907 metri cubi fuori terra e 205 metri cubi interrati. Queste cubature sono state calcolate conformemente alle disposizioni del D.LH. 24/2020, n. 08/2021 e n. 27/2021 (Regolamento edilizio). La base di calcolo si fonda sulle dimensioni ricavate dai piani attualmente disponibili presso l’ufficio tecnico comunale, il catasto e il libro fondiario. Il terreno si trova nella zona residenziale B4 – zona di completamento, offrendo così un’opportunità interessante per investitori o costruttori alla ricerca di una posizione esclusiva. Si applicano le seguenti norme edilizie:
1. Densità edilizia massima: 2 m³/m²
2. Superficie massima edificabile: 40%
3. Altezza massima dell’edificio: 8 m
4. Distanza minima dal confine: 5 m
5. Distanza minima tra edifici: 10 m

Offerenti

Castellanum
Via Tratten 7
39042 Bressanone
Tel.
0472201250
Chiudi